湖北/黄冈-2025-10-28 00:00:00
项目编号:****(****)****
项目名称:黄冈市国有建设用地使用权网上挂牌出让公告 黄冈网挂字﹝****﹞**号
黄冈市国有建设用地使用权
网上挂牌出让文件
黄冈网挂字﹝****﹞**号
黄冈市自然资源和城乡建设局
****年**月
目 录
(*)挂牌出让公告
(*)挂牌出让规则(试行)
(*)建设指标控制要求及其他规划要求
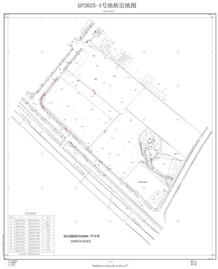
(*)宗地图(扫描件)
(*)国有建设用地使用权出让合同(样本)
(*)竞得人需提交的相关材料
黄冈网挂字﹝****﹞**号 **********
受黄冈市自然资源和城乡建设局委托,黄冈市公共资源交易中心以网上挂牌方式出让二宗国有建设用地使用权。现将有关事项公告如下:
一、挂牌出让地块的基本情况和规划指标要求
| 宗地编号 | ********号地块 | 宗地面积 | *****㎡ | 宗地坐落 | 黄冈南湖产业园南湖五路东侧 | ||||
| 出让年限 | **年 | 容积率 | <*.* | 建筑密度 | ≤**% | ||||
| 绿地率 | ≤**% | 建筑限高 | / | 土地用途 | |||||
| 宗地现状 | 该宗地现状为净地 | ||||||||
| 挂牌起始价(万元) | *** | 竞买保证金 (万元) | ** | 最小增价幅度 (万元) | ** | ||||
| 开工时间 | 自交地之日起**个月内开工 | 竣工时间 | 自开工之日起**个月内竣工 | ||||||
| 出让价款 支付 | 该宗地出让价款可分期缴纳,竞得人自签订出让合同之日起**日内缴纳出让价款的**%,一年内付清。分期支付国有建设用地使用权出让价款产生的利息,由竞得人按《国有建设用地使用权出让合同》的约定支付。 | ||||||||
| 备 注 | 该宗地具体建筑后退地界、建设退让道路红线等建设要求及配建内容见规划条件。 | ||||||||
| 宗地编号 | ********号地块 | 宗地面积 | *****.*㎡ | 宗地坐落 | 黄冈化工产业园鹰岭路与外环路交汇处东南侧 | ||||
| 出让年限 | **年 | 容积率 | >*.*(属国家规定小于*.*的,按国家标准执行) | 建筑密度 | ≥**% (建筑系数≥**%) | ||||
| 绿地率 | <**% | 建筑限高 | / | 土地用途 | 工业用地 | ||||
| 投资强度 | 不低于***万元/亩 | 亩均税收 | 不低于**万元/亩 | 能耗指标 | / | ||||
| 宗地现状 | 该宗地现状为净地 | ||||||||
| 挂牌起始价(万元) | *** | 竞买保证金(万元) | ** | 最小增价幅度(万元) | * | ||||
| 开工时间 | 自交地之日起**个月内开工 | 竣工时间 | 自开工之日起**个月内竣工 | ||||||
| 出让价款 支付 | 竞得人自签订出让合同之日起**日内,一次性付清国有建设用地使用权出让价款。 | ||||||||
| 备 注 | 该宗地所需行政办公及生活服务设施用地面积不得超过工业项目总用地面积的**%,建筑面积占总建筑面积的比例≤**%,具体建筑后退地界、建设退让道路红线、停车泊位等建设要求见规划条件。 | ||||||||
二、竞买人资格要求及其他要求
(一)满足挂牌文件中约定要求的中华人民共和国境内外的自然人、法人和其他组织均可通过“湖北省公共资源产权交易平台”参加竞买。
(二)本次网上挂牌出让不接受联合竞买,申请人应当单独申请。
(三)凡在黄冈城区国有建设用地使用权公开出让过程中有不良记录或因自身原因闲置土地一年以上以及拖欠土地出让金未缴纳的企业,均不得参加本次土地竞买活动。
三、相关事项说明
(一)本次网上挂牌出让通过“湖北省公共资源产权交易平台”(进入方式:登录湖北省公共资源产权交易平台*****://****.******.**/,认真仔细阅读用户注册指南,注册**证书,成功注册后,点击“土地资源*国有建设用地”)网上竞价。竞买人应认真填写注册信息,按要求及时取得**证书,方可登录湖北省公共资源产权交易平台提交竞买申请。竞买人填写的信息必须真实、合法。若经查实,虚构、伪造报名材料的,竞买行为视为无效。
(二)竞买前,竞买人应登录“湖北省公共资源产权交易平台”查询本次挂牌出让宗地的详细资料及相关文件,并认真阅读《黄冈市国有建设用地使用权网上挂牌出让规则》等文件。网上提交竞买申请后,即视为对挂牌出让文件及其附件无异议。
(三)网上提交竞买申请后,竞买人应在交纳保证金截止时间前,通过“湖北省公共资源产权交易平台”获取竞买保证金支付专户,并一次性将竞买保证金转入保证金专户。竞买人也可使用银行保函作为参加土地竞买的履约保证方式。
(四)竞得土地后,竞得人须持单位营业执照、法人有效身份证明文件和《成交确认书》到黄冈市公共资源交易中心办理相关手续(具体资料清单见出让文件)。
(五)未按上述要求参加竞买的,竞买行为无效。竞买申请人自行承担一切后果。
四、本次国有建设用地使用权挂牌出让按照价高者得,且报价不低于底价的原则确定竞得人。
五、时间安排
(一)公告时间:****年**月**日—****年**月**日;
(二)下载出让文件及提交申请时间:****年**月**日—****年**月**日**时;
(三)交纳竞买保证金截止时间:****年**月**日**时(以到黄冈市财政局财政专户的时间为准,竞买人交纳成功后,请及时联系黄冈市财政局国库科开具票据。);
(四)竞买资格确认截止时间:****年**月**日**时前;
(五)挂牌时间:****年**月**日*时—****年**月**日**时。
六、其它事项
(一)在挂牌期限截止前*分钟内仍有竞买人报价的,将对挂牌宗地进行网上限时竞价,通过限时竞价确定竞得人。
(二)本宗地的土地使用人在使用土地的过程中应当遵守关于土壤环境管理方面的规定。
(三)竞得人应在签订《国有建设用地使用权出让合同》后七日内,在项目区树立公示牌。同时在项目建设期间配合黄冈市自然资源和城乡建设局工作人员对《国有建设用地使用权出让合同》履行情况进行现场巡查,并与黄冈市自然资源和城乡建设局工作人员共同填写建设用地项目跟踪管理卡予以监督管理。
(四)《挂牌出让文件》为本公告组成部分,本次挂牌出让事项如有变更,届时以湖北省公共资源产权交易平台为准。
(五)如在使用湖北省公共资源产权交易平台过程中遇到问题和困难,请与下列工作人员联系:
土地交易业务咨询:饶先生 ***********
七、联系方式
联系地址:黄冈市城东新区永安路特*号
联系单位:黄冈市公共资源交易中心
黄冈市自然资源和城乡建设局
黄冈市公共资源交易中心
****年**月**日
黄冈市国有建设用地使用权网上挂牌出让规则
(试 行)
第一章 总 则
第一条 为了加强国有建设用地使用权出让管理,确保土地交易市场的公开、公平、公正,根据《中华人民共和国电子签名法》、《招标拍卖挂牌出让国有建设用地使用权规定》、《招标拍卖挂牌出让国有土地使用权规范》等有关法律、法规、规章的规定,结合本市实际,制定本规则。
第二条 本规则所称国有建设用地使用权网上挂牌出让(以下简称网上挂牌出让),是指黄冈市国土资源交易中心(以下简称挂牌人)通过发布网上挂牌出让公告,按公告要求接受法人、自然人和其他组织(以下简称竞买人)竞买申请,确定竞买人资格并组织竞买人在网上竞买国有建设用地使用权的活动。
第三条 需招标拍卖挂牌出让的国有建设用地使用权,除市政府要求采取其他方式出让外,一般应通过网上挂牌方式出让。
第四条 竞买人应通过黄冈市国有建设用地使用权网上挂牌出让系统(以下简称系统)依法参加黄冈市网上挂牌出让活动。竞买人参加网上挂牌出让活动必须严格遵守法律、法规、规章和本规则的规定。
第二章 信息发布
第五条 挂牌人通过黄冈市公共资源交易网、黄冈市自然资源和城乡建设局网、黄冈市国土资源交易网和中国土地市场网等网站和媒体发布网上挂牌出让公告、出让宗地相关信息。
第六条 网上挂牌出让公告期间,公告内容不得擅自变更,因特殊情况需要变更的,报黄冈市自然资源和规划部门批准后,挂牌人应当按原公告发布渠道及时发布变更公告。影响宗地价格等重要变动的,网上挂牌出让活动自变更公告发布之日起相应顺延,确保公告时间不少于**日。
第七条 网上挂牌出让宗地竞买保证金数额、起始价、宗地底价等相关信息应在市纪检监察人员现场监督下,由挂牌人通过系统的管理后台录入。
第三章 网上挂牌出让程序
第八条 网上挂牌出让应遵循如下程序:
(一)市国土资源交易中心发布网上挂牌出让公告;
(二)竞买人依照规定,一次性向湖北省数字认证中心办理**数字证书;
(三)竞买人完成网上注册;
(四)竞买人下载有关文件;
(五)竞买人提出竞买申请;
(六)竞买人交纳竞买保证金;
(七)市国土资源市场交易中心网上确定竞买资格;
(八)竞买人网上报价及网上限时竞价;
(九)国有建设用地使用权成交确定。
第四章 用户注册与竞买申请
第九条 竞买人必须先行办理**数字证书才能登录系统。首次登录须在系统进行用户注册。注册时应按系统操作说明填写注册表格,提供真实、有效的注册信息,成为注册用户。注册成功后,注册用户对其提供的信息承担法律责任,并视为同意接受网上挂牌出让相关规定、规则的约束。
第十条 申请竞买前,竞买人应当详细阅读网上挂牌出让公告及出让宗地相关信息。竞买人对网上挂牌出让文件有疑问的,可通过市国土资源交易网的互动论坛以发帖、留言等形式向挂牌人咨询。挂牌人应及时就咨询事项给予答复。
竞买人可通过网上下载文档、音像资料了解宗地现状等情况,也可自行到现场踏勘。竞买申请一经提交,即视为对宗地现状无异议。
竞买人需成立新公司在竞得土地后进行开发建设的,应在申请书中预先明确新公司拟用名称、出资主体、股本构成及成立时间等内容。
第十一条 竞买人通过向系统递交竞买申请获得订单流水号,网上挂牌出让不接受除网上竞买申请外的其他形式的申请。
第十二条 竞买人凭订单流水号通过系统向指定银行账号按时足额交纳竞买保证金。竞买保证金以宗地为单位逐宗交纳。
竞买人在交纳保证金时必须准确填写订单流水号,系统在接受竞买保证金时,仅凭订单流水号作为识别竞买人身份的依据,并在确认竞买保证金按时足额到账后,赋予与订单流水号对应竞买人、对应宗地的竞买资格。
竞买人没有按时足额在指定帐户交纳竞买保证金的,该竞买人将不被赋予竞买资格,由此造成的经济和法律责任由该竞买人自行承担。
第五章 网上竞价
第十三条 网上挂牌期间系统全天**小时开通,网上挂牌交易起止时间以网上挂牌出让公告中公布的时间为准;有关数据记录的时间以数据信息到达系统服务器时间为准。
第十四条 竞买人通过系统进行报价,符合要求的报价,系统即时公布。网上报价及限时竞价的基本规则为:
(一)增价方式报价;
(二)一个竞买人可多次报价;
(三)初次报价不得低于起始价;
(四)初次报价后的每次报价应当比当前最高报价递增一个加价幅度或其整数倍。
第十五条 竞买人报价一经提交即被系统记录视为有效报价,不可撤回。
第十六条 网上报价期限截止前*分钟系统自动转为网上限时竞价。网上限时竞价程序为:
(一)报价期限截止前*分钟,系统开始限时竞价,竞买人应严格按照报价规则参加限时竞价。如在*分钟内的任一时点有新的报价,系统即从此时点起再顺延一个*分钟,供竞买人作新一轮竞价,并按此方式不断顺延;
(二)*分钟限时内没有新的报价,系统将自动关闭报价通道,确认当前最高报价为宗地的最终报价。系统按照“价高者得且不低于底价”的原则自动确认是否成交;
(三)系统及时显示网上挂牌竞价结果。
第十七条 竞买人可自愿选择系统提供的自动委托报价功能进行自动委托报价。竞买人委托系统自动报价时须设定委托的最高限价。系统自动报价的最高价格不超过竞买人委托的最高限价。竞买人可随时撤销自动报价委托,改为手动出价。
第六章 成交确认
第十八条 网上挂牌出让结果公布后,竞得人应当在*个工作日内持有关资料原件与挂牌人签订《国有建设用地使用权网上挂牌出让成交确认书》,凭成交确认书与黄冈市自然资源和城乡建设局签订《国有建设用地使用权出让合同》,支付土地成交价款、缴纳税费。
第十九条 竞得人应当在成交确认书签订之日起*个工作日内交清交易服务费,同时将竞买保证金转为出让金;未竞得人的竞买保证金将于网上挂牌活动结束后*个工作日内不计利息全额退还。
第二十条 竞得人有下列行为之一的,竞得结果无效,造成损失的,应依法承担相关法律责任。
(一)因注册的信息不真实、不准确或不完整等原因造成竞得人身份无法确认的;
(二)不按注册用户时登记的内容提供有关文件材料,或提供虚假文件材料、隐瞒重要事实的;
(三)经查实竞买人有私下串通和阻碍正常竞买的;
(四)构成违约责任的其他行为。
第二十一条 因竞买人提供的注册信息不真实、不准确或不完整等原因造成挂牌人无法核实竞买人真实身份,竞买人应提供相关证明材料,经核实无误后方可退还。导致竞买保证金不能按时退还的,挂牌人不承担任何法律责任。
第七章 网络管理
第二十二条 根据系统设置权限要求指定专人担任系统管理员,负责系统的维护与管理工作。
第二十三条 挂牌主持人、市纪检监察人员对网上报价、限时竞价和成交确认等过程进行监控。交易期间的数据服务器、应用服务器实行封闭管理。
第二十四条 注册用户在一天内连续五次输错密码,系统自动锁定该用户的相关权限。用户权限锁定后如需解锁,必须由用户提供相关证明,经挂牌主持人核实后解除锁定。
第二十五条 为保障竞买人的利益,保护网络传输的安全,系统对网络信息的传输采用数据加密处理。
第二十六条 挂牌人有权通过系统保存网上挂牌出让活动中的所有记录,并作为竞买人参加网上挂牌出让活动的证明。
第八章 应急处置
第二十七条 有下列情形之一的,挂牌人有权中止或终止网上挂牌出让活动:
(一)因系统遭受破坏或发生电力、网络故障等不可抗力以及网络恶意入侵等非挂牌人因素,导致系统不能正常运行;
(二)委托人根据有关规定要求中止或终止挂牌活动的;
(三)司法机关要求或依法律法规规定,应中止或终止挂牌活动的。
第二十八条 出现第二十七条第(一)款规定情形的,挂牌人可中止挂牌活动,封存相关数据及信息,并将情况及时上报黄冈市自然资源和规划部门,待问题排查、清除后恢复交易。
出现第二十七条第(二)、(三)款规定情形的,挂牌人应报黄冈市自然资源和规划部门批准。在黄冈市自然资源和规划部门做出中止或终止网上挂牌出让活动的决定后,由挂牌人通过原公告渠道发布中止或终止公告,并关闭系统竞价通道,中止或终止网上挂牌出让活动。
第九章 责 任
第二十九条 系统以**数字证书、用户名和密码进行身份认证。竞买人应当防范网络风险,保护个人电脑操作系统的安全,并妥善保管**数字证书和密码。
因竞买人个人电脑操作系统被侵入或其他自身原因导致**数字证书遗失或密码泄漏等造成的责任,由竞买人自行承担。
用户丢失或忘记**数字证书或密码的,必须携带有效证件资料,到电子认证服务提供机构重新申领。
第三十条 竞买人在系统实施的所有行为,均被系统服务器自动记录,视为竞买人自身真实或经合法授权的行为,该行为所引起的法律责任由竞买人承担。
第三十一条 竞得人逾期或拒绝签订《国有建设用地使用权网上挂牌出让成交确认书》、《国有建设用地使用权出让合同》或不按时支付土地出让价款、交易服务费等税费的,应承担违约责任。挂牌人可确认其竞得结果无效,竞买保证金不予退还。挂牌人将标的再行公开出让,再次出让价款低于原出让价款的,原竞得人应当补足差额。挂牌人将原竞得人纳入不诚信用户名单,予以公示。不诚信用户不得参加网上挂牌出让活动,系统自动识别并限制其参与竞买。
第三十二条 工作人员须严格遵守本规则,若因违反本规则而造成损失的,依据有关规定追究有关人员责任。
第十章 附 则
第三十三条 各县市国有建设用地使用权网上挂牌出让可参照本规则执行。
第三十四条 本规则自二〇一一年十月一日起执行。






************ 电 子 监 管 号:
不动产单元代码:
国有建设用地使用权出让合同
(示范文本)
中华人民共和国自然资源部
制 定
国家市场监督管理总局
国有建设用地使用权出让合同使用说明
一、《国有建设用地使用权出让合同》包括合同正文、附件*(出让宗地平面界址图)、附件*(出让宗地竖向界限)和附件*〔市(县)人民政府自然资源主管部门确定的出让宗地规划条件〕。
二、本合同中的出让人为有权出让国有建设用地使用权的市、县人民政府自然资源主管部门。出让人不得违反法律法规、产业和供地政策为别墅类房地产开发(包括私家庄园)等禁止类项目签订出让合同。
三、出让人出让的土地必须是国有建设用地,土地上不得存在集体土地所有权,以及已设立的各类不动产用益物权和担保物权。宗地是指土地权属界址线封闭的地块或者空间。
四、本合同第五条中,出让宗地空间范围是以平面界址点所构成的垂直面和上、下界限高程平面封闭形成的空间范围。出让宗地的平面界限按宗地的界址点坐标填写。出让宗地平面界址图以宗地图为基础制作,也可直接附宗地图;出让宗地的竖向界限,应当按照****国家高程基准为起算基点填写。高差是垂直方向从起算面到终止面的距离。如:出让宗地的竖向界限以标高+**米(****国家高程基准)为上界限,以标高***米(****国家高程基准)为下界限,高差为 ** 米。
五、本合同第六条中,宗地用途依据国土空间详细规划确定,按照现行有效的《国土空间调查、规划、用途管制用地用海分类指南》规定的土地二级类填写。依据规划用途可以划分为不同宗地的,应先行分割成不同的宗地,再按宗地出让。属于同一宗地中包含两种或两种以上不同用途的,应当写明各类具体用途土地的出让期限及其占宗地的面积比例和空间范围。
六、本合同第七条中,容积率、建筑高度、建筑密度(建筑系数)、绿地率等规划条件为必填项。受让宗地用于工业项目建设的,应当按照现行有效的《工业项目建设用地控制指标》要求,容积率、建筑密度(建筑系数)只填写最低限指标,即“不低于”。新出台的法律政策对工业项目容积率、建筑密度(建筑系数)等另有规定的,签订出让合同时,从其规定。
七、本合同第十一条中,国有建设用地使用权出让价款支付方式按照出让文件、公告填写。国有建设用地使用权出让价款一次性付清的,选择第一款第一项;分期支付的,选择第一款第二项。分期付款约定的利息,从合同约定的第一期缴款时限次日起算,至第二期及以后各期实际付款当日止。
八、本合同第十二条中,土地条件按照双方实际约定选择和填写。属于待开发建设的用地,选择第一项;属于原划拨(承租)国有建设用地使用权补办出让手续的,选择第二项。
九、本合同第十四条中,宗地用于工业项目建设的,宗地范围内用于企业内部行政办公及生活服务设施的占地面积占受让宗地面积的比例,按照法律、行政法规和自然资源部制定的有关标准执行。
十、本合同第十五条中,受让宗地约定开工时间和竣工时间应当符合国家有关法律法规和政策规定。
十一、本合同第十七条中,在土地出让期限内,非经营性用地改变为经营性用地的,应当按照《国务院关于促进节约集约用地的通知》(国发〔****〕*号)的规定执行。国家新出台的法律政策对改变土地用途和规划条件另有规定的,签订出让合同时,从其规定。
十二、本合同第二十条中,属于房屋开发的,选择第一项;属于土地综合开发的,选择第二项。出让文件、公告有其他转让条件的,可在第三条补充填写。
十三、本合同第二十九条和第三十三条中,受让人不能按合同约定及时支付国有建设用地使用权出让价款,出让人不能按合同约定及时提供出让土地的,应当根据《国务院办公厅关于规范国有土地使用权出让收支管理的通知》(国办发〔****〕***号)的有关规定和双方当事人权利义务对等原则,违约金比例按*‰填写。国家新出台的法律政策对受让人不能按时支付国有建设用地使用权出让价款的违约金比例有规定的,签订出让合同时,应当按照最新规定填写。
十四、本合同项下宗地的坐落、界址、界限、土地用途、规划条件、出让期限等内容必须规范填写,不得空项。
十五、本合同中的“某日之内”、“某日之前”等非具体日期的时限,如遇法定节假日或者休息日的,顺延至下一个工作日;本合同中的“某日”包含当日。
十六、本合同示范文本供双方当事人参照使用。当事人可以在法律法规政策允许范围内,对合同示范文本中的有关条款进行修改、补充和完善。
十七、本合同示范文本由自然资源部会同市场监管总局负责解释。
国有建设用地使用权出让合同
本合同双方当事人:
出让人:中华人民共和国 省(自治区,直辖市) 市(县) 局;
统一社会信用代码: ;
住所: ;
电话: ;
传真: ;
法定代表人: 。
受让人: ;
统一社会信用代码或者身份证件号码: ;
住所: ;
电话: ;
传真: ;
法定代表人: 。
第一章 总 则
第一条 根据《中华人民共和国民法典》《中华人民共和国土地管理法》《中华人民共和国城市房地产管理法》《中华人民共和国城乡规划法》等法律、有关行政法规及土地供应政策规定,双方本着平等、自愿、公平、诚信、有偿的原则,订立本合同。
第二条 受让人对依法取得的国有建设用地使用权,在出让期限内享有占有、使用和收益的权利,有权利用该土地依法建造建筑物、构筑物及其附属设施。
第三条 当事人应当按照约定行使权利、履行义务。当事人在履行合同过程中,应当避免浪费资源、污染环境和破坏生态,遵守法律、行政法规关于土地用途的规定,不得损害已设立的用益物权。出让人不得干涉受让人行使合法权利。
侵害依法设立的国有建设用地使用权,造成权利人损害的,权利人可以依法请求损害赔偿,也可以依法请求承担其他民事责任。
第二章 出让土地的交付与出让价款的缴纳
第四条 出让土地的所有权属于中华人民共和国,出让人根据法律的授权出让国有建设用地使用权,地下资源、埋藏物不属于国有建设用地使用权出让范围。
第五条 本合同项下出让宗地的不动产单元代码为 ,宗地总面积为大写 平方米(小写 平方米),其中出让宗地面积为大写 平方米(小写 平方米)。
本合同项下的出让宗地坐落于 。
本合同项下出让宗地的平面界址为 。出让宗地的平面界址图见附件*。
本合同项下出让宗地的竖向界限以 为上界限,以 为下界限,高差为 米。出让宗地竖向界限见附件*。
出让宗地空间范围是以上述界址点所构成的垂直面和上、下界限高程平面封闭形成的空间范围。
第六条 本合同项下出让宗地的用途为 。
第七条 受让人在本合同项下宗地范围内新建建筑物、构筑物及其附属设施的,应符合市(县)人民政府自然资源主管部门确定的出让宗地规划条件(见附件*)。其中:
建筑总面积不大于 平方米,不小于 平方米;容积率不高于 ,不低于 ;建筑高度不高于 米,不低于 米;建筑密度(建筑系数)不高于 ,不低于 ;绿地率不高于 ,不低于 ;其他土地利用要求 。
第八条 本合同项下的国有建设用地使用权出让期限为 年,按本合同第十二条约定的交付土地之日起算;原划拨(承租)国有建设用地使用权补办出让手续的,出让期限自出让合同签订之日起算。
第九条 本合同项下宗地的国有建设用地使用权出让价款为人民币大写 元(小写 元),每平方米人民币大写 元(小写 元)。
第十条 本合同项下宗地的定金为人民币大写 元(小写 元),定金抵作土地出让价款。
第十一条 受让人同意按照本条第一款第 项的规定向出让人支付国有建设用地使用权出让价款:
(一)本合同签订之日起 日内,一次性付清国有建设用地使用权出让价款;
(二)按以下时间和金额分 期向出让人支付国有建设用地使用权出让价款。
第一期 人民币大写 元(小写 元),付款时间: 年 月 日之前。
第二期 人民币大写 元(小写 元),付款时间: 年 月 日之前。
第 期 人民币大写 元(小写 元),付款时间: 年 月 日之前。
第 期 人民币大写 元(小写 元),付款时间: 年 月 日之前。
分期支付国有建设用地使用权出让价款的,受让人在支付第二期及以后各期国有建设用地使用权出让价款时,同意按照支付第一期土地出让价款之日中国人民银行公布执行的*年期贷款市场报价利率(***),向出让人支付利息。
第十二条 出让人同意在 年 月 日前将出让宗地交付给受让人,交付土地时该宗地土地权利清晰、安置补偿落实到位,应达到本条第 项规定的土地条件:
(一)场地平整达到 ;周围基础设施达到 ;
(二)现状土地条件 。
第十三条 受让人应在按本合同约定付清本宗地全部出让价款后(涉及利息和违约金的,亦需付清),持本合同和出让价款缴纳凭证等相关证明材料,申请出让国有建设用地使用权登记。
第三章 土地开发建设与利用
第十四条 本合同项下宗地用于工业项目建设的,根据自然资源主管部门确定的规划条件,本合同受让宗地范围内用于企业内部行政办公及生活服务设施的占地面积不超过受让宗地面积的 %,即不超过 平方米,建筑面积不超过 平方米,且建筑面积不超过工业项目总建筑面积的 %。受让人不得在受让宗地范围内建造成套住宅、专家楼、宾馆、招待所和培训中心等非生产性配套设施。
第十五条 受让人同意本合同项下宗地建设项目在 年 月 日之前开工,在 年 月 日之前竣工。
受让人不能按期开工,应提前**日向出让人提出延建申请,经出让人同意延建的,其项目竣工时间相应顺延,但延建期限不得超过一年。
第十六条 受让人在本合同项下宗地内进行建设时,有关用水、用气、污水及其他设施与宗地外主管线、用电变电站接口和引入工程,应按有关规定办理。
受让人同意政府为公用事业需要而敷设的各种管道与管线、轨道交通工程进出、通过、穿越受让宗地,因影响宗地使用功能,政府或公用事业营建主体支付合理补偿的,该补偿归受让人所有。
第十七条 受让人应当按照本合同约定的土地用途、规划条件利用土地,不得擅自改变。在出让期限内,需要改变本合同约定的土地用途、规划条件的,经原批准出让方案的人民政府批准后,双方同意按照本条第 项规定办理:
(一)由出让人有偿收回国有建设用地使用权;
(二)依法办理改变土地用途、规划条件批准手续,签订国有建设用地使用权出让合同变更协议或者重新签订国有建设用地使用权出让合同,按照批准改变时新土地用途、规划条件下国有建设用地使用权评估市场价格与原土地用途、规划条件下国有建设用地使用权评估市场价格相应调整国有建设用地使用权出让价款,办理不动产变更登记。
第十八条 本合同项下宗地在使用期限内,政府保留对该宗地的规划调整权,原规划如有修改,该宗地已有的建筑物不受影响,但在使用期限内该宗地建筑物、构筑物及其附属设施改建、翻建、重建时,应按届时有效的规划执行。
第十九条 对受让人依法使用的国有建设用地使用权,在本合同约定的使用权期限届满前,出让人不得收回;在特殊情况下,根据社会公共利益需要提前收回国有建设用地使用权的,出让人应当依照法定程序报批,并根据收回时地上建筑物、构筑物及其附属设施的价值和剩余年限国有建设用地使用权的评估市场价格及经评估认定的直接损失给予土地使用者补偿。
第四章 国有建设用地使用权转让、出租、抵押
第二十条 受让人按照本合同约定支付全部国有建设用地使用权出让价款,办理不动产登记后,有权将本合同项下的全部或部分国有建设用地使用权转让、出租、抵押。首次转让的,应当符合以下第 项(第一项或第二项至少选其一,可多选)规定的条件:
(一)按照本合同约定进行投资开发,完成开发投资总额的百分之二十五以上;
(二)按照本合同约定进行投资开发,已形成工业用地或其他建设用地条件;
(三) 。
第二十一条 国有建设用地使用权的转让、出租及抵押合同,不得违背国家法律、法规规定和本合同约定。
第二十二条 国有建设用地使用权全部或部分转让后,本合同、不动产登记簿和不动产权证书中载明的权利、义务随之转移,国有建设用地使用权的使用年限为本合同约定的使用年限减去已经使用年限后的剩余年限。
本合同项下的全部或部分国有建设用地使用权出租后,本合同、不动产登记簿和不动产权证书中载明的权利、义务仍由受让人承担。
第二十三条 国有建设用地使用权转让、抵押的,转让、抵押双方应持本合同和相应的转让、抵押合同及不动产权证书,到自然资源主管部门申请办理相应的不动产登记。
第五章 期限届满
第二十四条 本合同约定的使用权期限届满,土地使用者需要继续使用本合同项下宗地的,本合同有约定的,按照约定履行;本合同没有约定的,应当依法在规定时间内提出续期申请。
住宅建设用地使用权期限届满的,自动续期。续期费用的缴纳或者减免,依照法律、行政法规的规定办理。
非住宅建设用地使用权期限届满后的续期,依照法律规定办理。出让人同意续期的,土地使用者应当依法办理续期手续,重新签订土地有偿使用合同,缴纳续期费用。
第二十五条 土地出让期限届满,土地使用者申请续期,因社会公共利益需要未获批准的,土地使用者应当依照规定申请办理国有建设用地使用权注销登记,并交回不动产权证书,国有建设用地使用权由出让人无偿收回。出让人和土地使用者同意本合同项下宗地上的建筑物、构筑物及其附属设施,按本条第 项约定履行:
(一)由出让人收回地上建筑物、构筑物及其附属设施,并根据收回时地上建筑物、构筑物及其附属设施的残余价值,给予土地使用者相应补偿;
(二)由出让人无偿收回地上建筑物、构筑物及其附属设施。
第二十六条 土地出让期限届满,土地使用者没有申请续期的,土地使用者应当依照规定申请办理国有建设用地使用权注销登记,并交回不动产权证书,国有建设用地使用权由出让人无偿收回。本合同项下宗地上的建筑物、构筑物及其附属设施,由出让人无偿收回,土地使用者应当保持地上建筑物、构筑物及其附属设施的正常使用功能,不得人为破坏。地上建筑物、构筑物及其附属设施失去正常使用功能的,出让人可要求土地使用者移动或拆除地上建筑物、构筑物及其附属设施,恢复场地平整。
第六章 不可抗力
第二十七条 合同双方当事人一方因不可抗力不能履行合同的,根据不可抗力的影响,部分或者全部免除责任,但法律另有规定的除外。因不可抗力不能履行合同的,应当及时通知对方,以减轻可能给对方造成的损失,并应当在合理期限内提供证明。当事人迟延履行后发生不可抗力的,不免除其违约责任。
第二十八条 遇有不可抗力的一方,应在*日内将不可抗力情况以信函、电报、传真等书面形式通知另一方,并在不可抗力发生后**日内,向另一方提交本合同部分或全部不能履行或需要延期履行的报告及证明。
第七章 违约责任
第二十九条 受让人应当按照本合同约定,按时支付国有建设用地使用权出让价款。受让人不能按时支付国有建设用地使用权出让价款的,自迟延支付之日起,每日按迟延支付款项的 ‰向出让人缴纳违约金,延期付款超过**日,经出让人催缴后仍不能支付国有建设用地使用权出让价款的,出让人有权解除合同,受让人无权要求返还定金,定金数额不足以弥补因受让人违约造成的损失的,出让人可以请求受让人赔偿超过定金数额的损失。
第三十条 受让人因自身原因终止该项目投资建设,向出让人提出终止履行本合同并请求退还土地的,出让人报经原批准土地出让方案的人民政府批准后,分别按以下约定,退还除本合同约定的定金以外的全部或部分国有建设用地使用权出让价款(不计利息),收回国有建设用地使用权,该宗地范围内已建的建筑物、构筑物及其附属设施可不予补偿,出让人还可要求受让人清除已建建筑物、构筑物及其附属设施,恢复场地平整;但出让人愿意继续利用该宗地范围内已建的建筑物、构筑物及其附属设施的,应给予受让人一定补偿:
(一)受让人在本合同约定的开工建设日期届满一年前不少于**日向出让人提出申请的,出让人在扣除定金后退还受让人已支付的国有建设用地使用权出让价款;
(二)受让人在本合同约定的开工建设日期超过一年但未满二年,并在届满二年前不少于**日向出让人提出申请的,出让人应在扣除本合同约定的定金,并按照规定征收土地闲置费后,将剩余的已付国有建设用地使用权出让价款退还受让人。
第三十一条 受让人应当按照本合同约定动工开发。
受让人未按照本合同约定动工开发,涉嫌闲置土地的,应履行配合调查义务;造成闲置土地的,应依法依规予以处置。
第三十二条 受让人未能按照本合同约定日期或同意延建所另行约定日期开工建设但不超过一年的,每延期一日,应向出让人支付相当于国有建设用地使用权出让价款总额 ‰的违约金,出让人有权要求受让人继续履约。
受让人未能按照本合同约定日期或同意延建所另行约定日期竣工的,每延期一日,应向出让人支付相当于未竣工计容建筑面积对应国有建设用地使用权出让价款 ‰的违约金。
第三十三条 受让人按本合同约定支付国有建设用地使用权出让价款的,出让人必须按照本合同约定按时交付出让土地。由于出让人未按时交付出让土地或者交付的土地不符合本合同约定的条件而致使受让人本合同项下宗地占有延期的,每延期一日,出让人应当按受让人已经支付的国有建设用地使用权出让价款的 ‰向受让人给付违约金,土地使用权期限自实际交付土地之日起算。出让人延期交付土地超过**日,经受让人催交后仍不能交付土地的,受让人有权解除合同,出让人应当双倍返还定金,并退还已经支付国有建设用地使用权出让价款的其余部分,定金数额不足以弥补因出让人违约造成的损失的,受让人可以请求出让人赔偿超过定金数额的损失。
第三十四条 出让人未能按期交付土地或交付的土地未能达到本合同约定的土地条件或单方改变土地使用条件的,受让人有权要求出让人按照规定的条件履行义务,并且赔偿延误履行而给受让人造成的直接损失。土地使用权期限自达到约定的土地条件之日起算。
第八章 适用法律及争议解决
第三十五条 本合同订立、效力、解释、履行及争议的解决,适用中华人民共和国法律。
第三十六条 因履行本合同发生争议,争议双方可以通过和解、调解等途径解决,和解、调解不成的,按本条第 项约定的方式解决:
(一)提交 仲裁委员会仲裁;
(二)依法向人民法院起诉。
第九章 附则
第三十七条 本合同项下宗地出让方案业经 人民政府批准,本合同自双方签订之日起生效。
第三十八条 本合同项下约定向出让人支付的出让价款及利息、改变土地用途和规划条件补缴价款等国有土地使用权出让收入,以及违约金,按照有关征管规定,具体由受让人向税务机关缴纳。
第三十九条 本合同履行中及合同发生纠纷时相关文件和法律文书送达时的送达地址及法律后果约定如下:
(一)出让人确认其有效的送达地址为 ;受让人确认其有效的送达地址为 。
(二)一方的信息如有变更,应于变更之日起**日内以书面形式告知对方,否则由此引起的无法及时告知的责任由信息变更方承担。
第四十条 本合同和附件共 页,以中文书写为准。
第四十一条 本合同的价款、金额、面积等项应当同时以大、小写表示,大小写数额应当一致,不一致的,以大写为准。
第四十二条 本合同未尽事宜,可由双方约定后作为合同附件,与本合同具有同等法律效力。
第四十三条 本合同一式 份,出让人、受让人各执 份,具有同等法律效力。
出让人(章): 受让人(章):
法定代表人(委托代理人): 法定代表人(委托代理人):
(签字): (签字):
二〇******年******月******日
附件*
![]() |
附件*
![]() |
附件*
市(县)人民政府自然资源主管部门
确定的出让宗地规划条件
竞得人需提交的相关资料
网上交易完成后,竞得人需向黄冈市公共资源交易中心提供以下资料:
(一)通过网上交易系统下载并打印竞买申请书*份并加盖公章;
(二)通过网上交易系统下载并打印竞买资格确认书*份;
(三)通过网上交易系统下载并打印成交确认书*份并加盖公章;
(四)竞得人需提供工商营业执照*份(复印件)、法定代表人有效身份证明文件*份并加盖公章;
(五)竞得人需委托他人办理的,需提供企业法定代表人签署的授权委托书*份,并注明具体委托办理事项并加盖公章,同时附上委托代理人、受托代理人有效身份证明文件。
资料名称 | 资料内容 |
|---|





